Empresas aéreas como Interjet, Volaris y VivaAerobus, cancelaron sus vuelos a Puerto Vallarta y Jalisco.
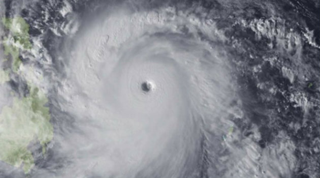
Este viernes, al caer la tarde, el huracán Patricia tocará tierras mexicanas a las que llega siendo una potente amenaza de 325 kilómetros por hora y con categoría cinco en la escala de Saffir-Simpson.
«Es probable que este huracán sea el más intenso que haya existido en la parte del Pacífico de nuestro país desde que se tiene registro», afirmó el director de la Comisión Nacional del Agua de México, Roberto Ramírez de la Parra.
Ante lo inminente y desastrosa que sería la llegada de Patricia a México, el Gobierno manito decretó el estado de emergencia extraordinario en 56 localidades: diez en Colima, 12 en Nayarit y 34 en Jalisco, todos estos estados ubicados en el Pacífico de México.
“Activados todos los protocolos de preparación y respuesta, a fin de reaccionar con oportunidad a las afectaciones que pudiera ocasionar el paso del Huracán y las lluvias derivadas de dicho fenómeno», afirmaron los emisarios del Gobierno.
En Puerto Vallarta, por ejemplo, las autoridades evacuaron a más de 50 mil turistas quienes pasaban sus vacaciones en esta zona costera, una de las que aparece en la trayectoria de Patricia y donde podría tocar tierra al caer la tarde de este viernes dejando serias afectaciones.
Por su parte, las empresas aéreas también tomaron sus medidas y se resguardaron de los embates de Patricia: Interjet, Volaris y VivaAerobus, cancelaron sus vuelos a Puerto Vallarta y Jalisco.
«Volaris informa que ha sido notificado por las autoridades del Aeropuerto Internacional de Puerto Vallarta sobre el cierre del mismo desde las 00:37 horas del 23 de octubre y hasta las 8:00 horas del 24 de octubre a causa del huracán Patricia», confirmó esta empresa a través de un comunicado.
Igualmente, Google se unió a la prevención sobre la llegada de Patricia y activó un sistema de Alertas Públicas y un Mapa de Crisis, a través de los cuales los usuarios, instituciones y organizaciones podrán hacer seguimiento a la llegada del Huracán y tomar las medidas adecuadas.
